Khu đô thị Lideco Hoài Đức (tên đầy đủ: Khu đô thị Bắc Quốc lộ 32) là một trong những dự án bất động sản quy mô lớn tại xã Hoài Đức, Hà Nội. Với diện tích hơn 38 ha, phong cách kiến trúc Pháp hiện đại, hạ tầng đồng bộ và vị trí chiến lược chỉ cách trung tâm Hà Nội 10 km, Lideco từ lâu đã trở thành lựa chọn ưu tiên của nhiều gia đình muốn an cư lâu dài. Bài viết dưới đây tổng hợp toàn bộ thông tin về vị trí, quy mô, tiện ích, giá bán, pháp lý và đánh giá thực tế để giúp bạn có cái nhìn toàn diện nhất trước khi đưa ra quyết định.

Khu Đô Thị Lideco Ở Đâu? Vị Trí Địa Lý Chi Tiết
Khu đô thị Lideco tọa lạc tại trung tâm thị trấn Trạm Trôi, Xã Hoài Đức, TP. Hà Nội – ngay trên trục Quốc lộ 32, phía Bắc đường. Đây là vị trí đắc địa với nhiều lợi thế kết nối giao thông nổi bật:
- Cách trung tâm Hà Nội (Hồ Gươm) khoảng 18 km theo Quốc lộ 32.
- Cách Vành đai 3 (nút giao Phạm Hùng) khoảng 10 km.
- Gần tuyến đường Lê Trọng Tấn – Xuân Phương, kết nối với các khu đô thị lớn như Geleximco, Nam 32.
- Kết nối thuận lợi với Đại lộ Thăng Long, cầu Trung Hà và cao tốc Hà Nội – Hòa Bình.
Nhờ vị trí nằm sát Quốc lộ 32, cư dân Lideco dễ dàng di chuyển vào nội thành Hà Nội trong khoảng 25–35 phút, đồng thời hưởng lợi từ các tuyến xe buýt công cộng qua trục đường này.
Khu Đô Thị Lideco Thuộc Phường Nào / Xã Nào?
Khu đô thị Lideco thuộc địa giới hành chính thị trấn Trạm Trôi (nay đã được sáp nhập thành một phần của các xã/phường thuộc xã Hoài Đức, Hà Nội theo các quyết định sắp xếp đơn vị hành chính). Địa chỉ chính thức: Thị trấn Trạm Trôi, Xã Hoài Đức, Thành phố Hà Nội.
Chủ Đầu Tư Khu Đô Thị Lideco Là Ai?
Chủ đầu tư dự án là Công ty Cổ phần Phát triển Đô thị Từ Liêm (viết tắt: LIDECO). Đây là doanh nghiệp nhà nước có nhiều năm kinh nghiệm phát triển các khu đô thị tại Hà Nội, đặc biệt là khu vực Từ Liêm và Hoài Đức. Với tổng vốn đầu tư lên tới 781 tỷ đồng cho dự án Bắc 32, Lideco là một trong những chủ đầu tư có uy tín tại khu vực phía Tây Hà Nội.

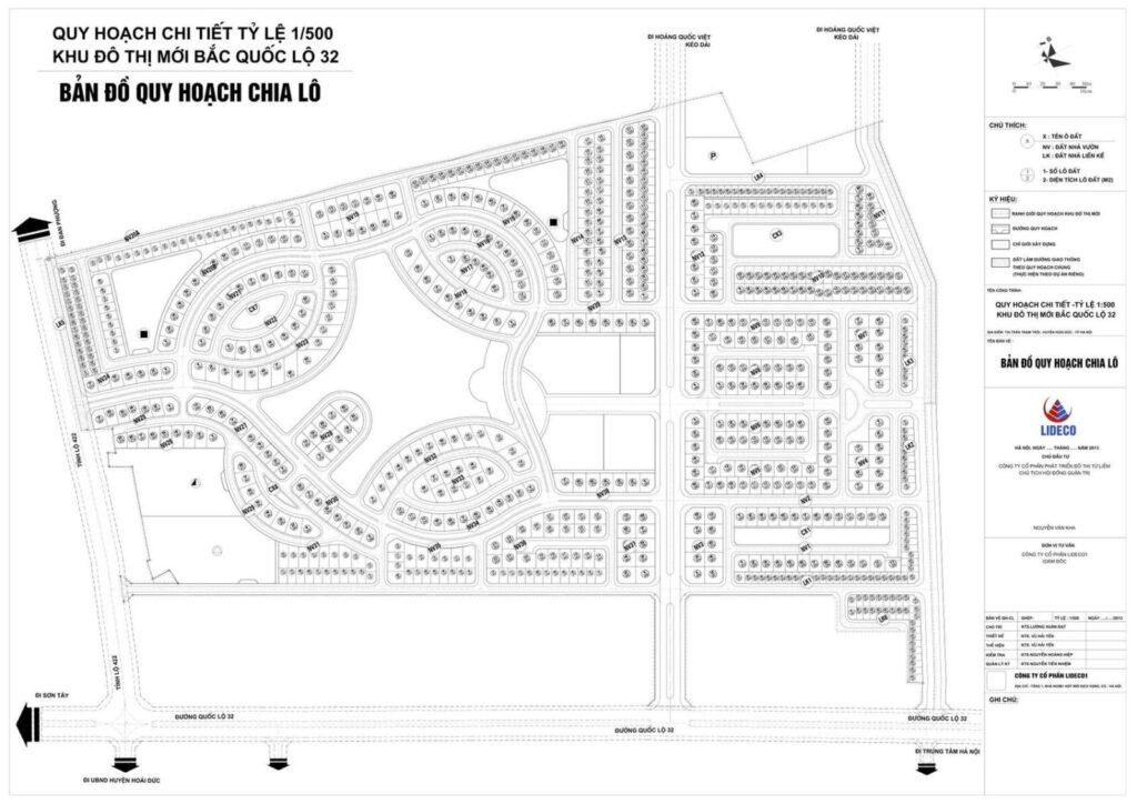
Quy Mô Tổng Thể Của Khu Đô Thị Lideco
- Tên dự án: Khu đô thị Bắc Quốc lộ 32 (Lideco Bắc 32)
- Chủ đầu tư: Công ty CP Phát triển Đô thị Từ Liêm (LIDECO)
- Địa chỉ: Thị trấn Trạm Trôi, Xã Hoài Đức, TP. Hà Nội
- Tổng diện tích: 38,23 ha
- Tổng vốn đầu tư: 781 tỷ đồng
- Ngày khởi công: Năm 2007
- Năm hoàn thành và bàn giao: 2012 – 2013
- Loại hình: Biệt thự đơn lập, song lập, nhà liền kề, nhà vườn
- Tổng số sản phẩm: 648 biệt thự + 136 liền kề
- Pháp lý: Đã có sổ đỏ
- Giá tham khảo: 12 tỷ (thị trường thứ cấp)
Khu đô thị Lideco Bắc 32 có tổng diện tích 38,23 ha, được phân bổ chi tiết như sau:
- Đất ở (biệt thự, liền kề): ~16,4 ha
- Đất giao thông nội khu: ~12,8 ha
- Cây xanh & thể thao: ~4,3 ha (tổng diện tích cây xanh + mặt hồ đạt 43.381 m²)
- Đất trường học: ~2,4 ha
- Đất dịch vụ công cộng: ~1,4 ha
Toàn khu được chia thành hai phân khu chính:
- Phân khu phía Đông: Bố trí chủ yếu biệt thự song lập, nhà liền kề, nhà liền kề có vườn và nhà lô phố – tạo nên chuỗi liên hoàn nhà ở sầm uất, hiện đại.
- Phân khu phía Tây: Hồ nước lớn đặt ở trung tâm là điểm nhấn cảnh quan. Xung quanh hồ là clubhouse, nhà hàng, trung tâm thương mại, biệt thự đơn lập, nhà vườn view hồ đắt giá.
Hệ Thống Tiện Ích Nội Khu Khu Đô Thị Lideco
Một trong những điểm mạnh khiến Lideco được lòng cư dân chính là hệ thống tiện ích nội khu đồng bộ và đẳng cấp. Cụ thể:
Giáo dục – Trường học
- 02 trường mầm non nội khu tiêu chuẩn cao
- 01 trường tiểu học đạt chuẩn quốc gia
- 01 trường trung học cơ sở
Thể thao – Giải trí – Sức khỏe
- Câu lạc bộ thể thao (clubhouse) quy mô lớn
- Sân tennis, sân tập golf trong khu
- Phòng tập gym, yoga; bể bơi tiêu chuẩn
- Nhà văn hóa cộng đồng

Thương mại – Dịch vụ
- Trung tâm thương mại 2 tầng siêu thị, mua sắm, giải trí
- Nhà hàng, spa, minimart phục vụ nhu cầu hàng ngày
- Hệ thống cây xanh và mặt hồ trung tâm tạo không gian nghỉ dưỡng ngay trong lòng đô thị
Kiến Trúc Và Thiết Kế – Phong Cách Pháp Đẳng Cấp
Khu đô thị Lideco được thiết kế theo phong cách kiến trúc Pháp hiện đại, một trong những phong cách được ưa chuộng nhất tại Hà Nội. Toàn bộ các căn biệt thự, liền kề đều được xây dựng 4 tầng với mặt ngoài đồng bộ, tạo nên tổng thể khu đô thị sang trọng và hài hòa. Đặc biệt, các biệt thự khu phía Tây có lợi thế view hồ, tạo cảm giác nghỉ dưỡng 365 ngày tại nhà.
Điểm Đặc Biệt: Công Nghệ Xử Lý Nước Thải Nhật Bản Johkasou
Một điểm khác biệt đáng chú ý của Lideco so với các khu đô thị cùng thời là việc áp dụng công nghệ Johkasou – hệ thống xử lý nước thải vi sinh của Nhật Bản với tổng giá trị đầu tư hàng triệu USD. Đây là dự án đầu tiên tại Việt Nam ứng dụng công nghệ này. Hệ thống xử lý nước thải tại đầu nguồn kết hợp với tổng diện tích cây xanh và mặt hồ hơn 43.381 m² giúp duy trì môi trường sống trong lành, hiện đại cho cư dân.

Giá Đất Khu Đô Thị Lideco Bao Nhiêu? Cập Nhật Mới Nhất
Giá bán tại khu đô thị Lideco hiện dao động tùy theo loại hình sản phẩm, vị trí căn và hướng nhà. Dưới đây là mức giá tham khảo cập nhật:
- Biệt thự song lập: Thỏa thuận, tham khảo từ 120 triệu/m² đất trở lên tùy vị trí.
- Biệt thự đơn lập view hồ: Mức giá cao hơn do vị trí đắc địa.
- Nhà liền kề: Thỏa thuận theo thị trường thứ cấp, diện tích phổ biến 94 – 108 m² sàn.

Lưu ý: Do đây là khu đô thị đã hoàn thiện và bàn giao từ năm 2012–2013, tất cả giao dịch hiện tại đều là thị trường thứ cấp (mua bán lại). Giá thực tế phụ thuộc vào thỏa thuận giữa hai bên, không có bảng giá CĐT.
Pháp Lý Dự Án – Sổ Đỏ Khu Đô Thị Lideco
Khu đô thị Lideco đã hoàn thiện và bàn giao từ năm 2012–2013. Toàn bộ các sản phẩm biệt thự và liền kề đã được cấp sổ đỏ (Giấy chứng nhận quyền sử dụng đất) theo hình thức “Nhận nhà ở ngay – Sổ đỏ sao tay”. Đây là điểm cộng lớn về tính pháp lý so với nhiều dự án đang triển khai, giúp người mua yên tâm hơn khi giao dịch trên thị trường thứ cấp.
Thực Tế Sinh Sống Tại Khu Đô Thị Lideco – Người Mua Nói Gì?
Sau hơn 10 năm đi vào hoạt động, khu đô thị Lideco đã tích lũy được nhiều đánh giá thực tế từ cư dân:
Ưu điểm nổi bật
- Cơ sở hạ tầng hoàn chỉnh, đường nội khu rộng rãi, có vỉa hè cây xanh.
- Môi trường sống yên tĩnh, an ninh 24/7, thoáng đãng so với nội đô.
- Kiến trúc đẹp, đồng bộ, tạo giá trị thẩm mỹ cho cả khu.
- Pháp lý rõ ràng, có sổ đỏ đầy đủ.
- Trường học nội khu thuận tiện cho các gia đình có con nhỏ.
Hạn chế cần cân nhắc
- Một số tiện ích thương mại (siêu thị lớn, trung tâm mua sắm) chưa hoạt động đầy đủ theo quy hoạch ban đầu.
- Giao thông trục QL32 thường xuyên ùn tắc vào giờ cao điểm.
- Mật độ cư dân chưa cao ở một số khu vực biệt thự, tạo cảm giác vắng vẻ.
So Sánh Lideco Với Các Khu Đô Thị Lân Cận
Khu vực Hoài Đức – Quốc lộ 32 có nhiều dự án khu đô thị đang cạnh tranh trực tiếp. Nhìn chung, Lideco có lợi thế về pháp lý hoàn chỉnh và cơ sở hạ tầng đã đi vào hoạt động ổn định. Tuy nhiên, những dự án mới hơn tại khu vực này mang đến chuẩn sống hiện đại hơn với công nghệ xây dựng tiên tiến, tiện ích đa dạng và thiết kế kiến trúc cập nhật theo xu hướng mới.
Nếu bạn đang tìm kiếm một lựa chọn nhà ở tại khu vực phía Tây Hà Nội với không gian sống chất lượng cao, đáng để tham khảo thêm dự án Đông Dương Riva – khu đô thị nghỉ dưỡng ven sông cao cấp – một lựa chọn đáng cân nhắc với chuẩn sống đẳng cấp hiện đại.
Câu Hỏi Thường Gặp Về Khu Đô Thị Lideco (FAQ)
Khu đô thị Lideco có bị bỏ hoang không?
Đây là một trong những câu hỏi được tìm kiếm nhiều nhất. Thực tế, Lideco KHÔNG bị bỏ hoang hoàn toàn. Khu đô thị đã được bàn giao từ năm 2012–2013 với khoảng 400 căn biệt thự đầu tiên. Tuy nhiên, do mật độ cư trú chưa đạt 100%, một số căn biệt thự chưa có người ở, dẫn đến cảm quan “vắng” tại một số tuyến đường. Hiện nay, khu đã dần sôi động hơn khi hạ tầng xung quanh phát triển.
Khu đô thị Lideco thuộc xã nào, phường nào?
Dự án nằm tại thị trấn Trạm Trôi, Xã Hoài Đức, Hà Nội ( Sau Xác Nhập ). Địa chỉ thường được ghi trên sổ đỏ là: Thị trấn Trạm Trôi, xã Hoài Đức, TP. Hà Nội.
Giá đất Khu đô thị Lideco hiện tại là bao nhiêu?
Giá thứ cấp hiện dao động từ 120 triệu/m² đất tùy vị trí căn, hướng nhà và tình trạng nội thất. Biệt thự view hồ có giá cao hơn so với biệt thự thông thường.
Khu đô thị Lideco có sổ đỏ chưa?
Đã có sổ đỏ đầy đủ. Toàn bộ sản phẩm được cấp Giấy chứng nhận quyền sử dụng đất từ khi bàn giao.
Khu đô thị Lideco cách trung tâm Hà Nội bao xa?
Cách Hồ Gươm khoảng 18 km, cách Vành đai 3 khoảng 10 km. Thời gian di chuyển vào nội thành trung bình 25–40 phút tùy giờ.
Tổng Kết – Có Nên Mua Nhà Tại Khu Đô Thị Lideco Không?
Khu đô thị Lideco Hoài Đức là lựa chọn phù hợp cho những ai:
- Muốn an cư tại khu vực phía Tây Hà Nội với pháp lý sạch, sổ đỏ rõ ràng.
- Tìm kiếm không gian sống thoáng rộng, nhiều cây xanh, tách biệt với sự ồn ào của đô thị.
- Ưu tiên kiến trúc Pháp cổ điển, hạ tầng đã hoàn thiện thay vì chờ đợi dự án mới.
- Có nhu cầu đầu tư dài hạn hưởng lợi từ quy hoạch Hoài Đức lên quận trong tương lai.
Tuy nhiên, nếu bạn mong muốn một khu đô thị mới hơn với tiêu chuẩn sống hiện đại, đầy đủ tiện ích cao cấp và không gian sống kiểu nghỉ dưỡng, hãy khám phá thêm dự án Đông Dương Riva – một khu đô thị ven sông đẳng cấp đang được thị trường quan tâm.



